Volume 23 Issue 9
Sep.  2025
Turn off MathJax
Article Contents
ZHENG Yihao, CHEN Yue, ZHAO Kaidi, YANG Yu, MA Chongyang, ZHANG Qiuyun. The mechanistic study of tanshinone Ⅰ Regulating non-canonical pyroptosis pathway in macrophages[J]. Chinese Journal of General Practice, 2025, 23(9): 1480-1483. doi: 10.16766/j.cnki.issn.1674-4152.004159
Citation: ZHENG Yihao, CHEN Yue, ZHAO Kaidi, YANG Yu, MA Chongyang, ZHANG Qiuyun. The mechanistic study of tanshinone Ⅰ Regulating non-canonical pyroptosis pathway in macrophages[J]. Chinese Journal of General Practice, 2025, 23(9): 1480-1483. doi: 10.16766/j.cnki.issn.1674-4152.004159

The mechanistic study of tanshinone Ⅰ Regulating non-canonical pyroptosis pathway in macrophages

doi: 10.16766/j.cnki.issn.1674-4152.004159
Funds:

 82074237

  • Received Date: 2025-03-24
    Available Online: 2025-11-17
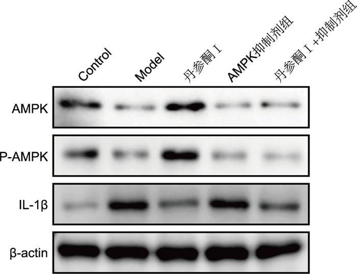
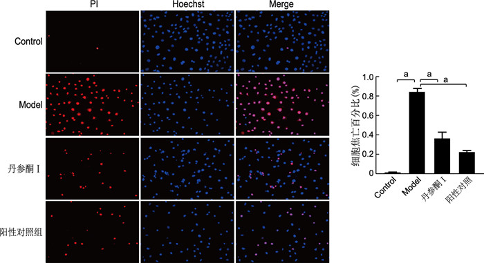
  •   Objective  To investigate the inhibitory effect and mechanism of Tanshinone Ⅰ on non-canonical pyroptosis in LPS-induced murine macrophage J774.1 cells.  Methods  A non-canonical pyroptosis model was induced in J774.1 cells by LPS transfection using Lipofecter. Cells were treated with various concentrations of Tanshinone Ⅰ, and 40 μmol/L was selected for subsequent experiments based on cytotoxicity screening. LDH release assay was used to assess cell toxicity. The expression levels of Caspase-11, GSDMD-N, NLRP3, cleaved-Caspase-1, and IL-1β were evaluated by qPCR and Western blot. Pyroptotic cells were observed by immunofluorescence. To explore the signaling pathway, the AMPK inhibitor dorsomorphin was co-administered with Tanshinone Ⅰ.  Results  Tanshinone Ⅰ at a concentration of 40 μmol/L showed no significant toxicity to J774.1 cells (P>0.05). After treatment, cell toxicity decreased from (29.540±2.123) % to (5.887±1.219) % (P=0.018). Compared with the model group, Tanshinone Ⅰ significantly inhibited the expression of Caspase-11, GSDMD-N, NLRP3, Caspase-1, cleaved-Caspase-1, and IL-1β (P < 0.05), and reduced the proportion of pyroptotic cells, indicating its ability to suppress non-canonical pyroptosis. Additionally, Tanshinone Ⅰ upregulated p-AMPK expression, whereas the AMPK inhibitor dorsomorphin reversed this effect, suggesting that its protective role may be mediated through activation of the AMPK pathway.  Conclusion  Tanshinone Ⅰ can inhibit LPS-induced non-canonical pyroptosis in J774.1 cells by activating the AMPK pathway, thereby alleviating inflammatory responses and exerting anti-inflammatory and cytoprotective effects.

     

  • loading
  • [1]
    LI Q, ZHANG F, WANG H, et al. NEDD4 lactylation promotes APAP induced liver injury through Caspase-11 dependent non-canonical pyroptosis[J]. Int J Biol Sci, 2024, 20: 1413-1435. doi: 10.7150/ijbs.91284
    [2]
    CYR B, HADAD R, KEANE R W, et al. The role of non-canonical and canonical inflammasomes in inflammaging[J]. Front Mol Neurosci, 2022, 15: 974742. DOI: 10.3389/fnmol.2022.774014.
    [3]
    YANG W, TAO K, ZHANG P, et al. Maresin 1 protects against lipopolysaccharide/d-galactosamine-induced acute liver injury by inhibiting macrophage pyroptosis and inflammatory response[J]. Biochem Pharmacol, 2022, 195: 114863. DOI: 10.1016/j.bcp.2021.114863.
    [4]
    TANG Y, WANG X, LI Z, et al. Heparin prevents Caspase-11-dependent septic lethality independent of anticoagulant properties[J]. Immunity, 2021, 54(3): 454-467. doi: 10.1016/j.immuni.2021.01.007
    [5]
    SUN P, ZHONG J, LIAO H, et al. Hepatocytes are resistant to cell death from canonical and non-canonical inflammasome-activated pyroptosis[J]. Cell Mol Gastroenterol Hepatol, 2022, 13(3): 739-757. doi: 10.1016/j.jcmgh.2021.11.009
    [6]
    MORETTI J, JIA B, HUTCHINS Z, et al. Caspase-11 interaction with NLRP3 potentiates the noncanonical activation of the NLRP3 inflammasome[J]. Nat Immunol, 2022, 23(2): 705-717.
    [7]
    BIASIZZO M, TRSTENJAK-PREBANDA M, DOLINAR K, et al. Cystatin C deficiency increases LPS-induced sepsis and NLRP3 inflammasome activation in mice[J]. Cells, 2021, 10(8): 2071-2085. doi: 10.3390/cells10082071
    [8]
    ENGELMANN C, HABTESION A, HASSAN M, et al. Combination of G-CSF and a TLR4 inhibitor reduce inflammation and promote regeneration in a mouse model of ACLF[J]. J Hepatol, 2022, 77(5): 1325-1338. doi: 10.1016/j.jhep.2022.07.006
    [9]
    HOU W, WEI X, LIANG J, et al. HMGB1-induced hepatocyte pyroptosis expanding inflammatory responses contributes to the pathogenesis of acute-on-chronic liver failure (ACLF)[J]. J Inflamm Res, 2021, 14: 7295-7313. doi: 10.2147/JIR.S336626
    [10]
    WU Y T, XIE L P, HUA Y, et al. Tanshinone Ⅰ inhibits oxidative stress-induced cardiomyocyte injury by modulating Nrf2 signaling[J]. Front Pharmacol, 2021, 12: 644116. DOI: 10.3389/fphar.2021.644116.
    [11]
    HUANG P, JIN W, XU S, et al. Optimization of smashing tissue and ultrasonic extraction of tanshinones and their neuroprotective effect on cerebral ischemia/reperfusion injury by inhibiting parthanatos[J]. Food Funct, 2022, 13(18): 9658-9673. doi: 10.1039/D2FO01902G
    [12]
    WANG Z, PETERS R J. Tanshinones: leading the way into Lamiaceae labdane-related diterpenoid biosynthesis[J]. Curr Opin Plant Biol, 2022, 66: 102189. DOI: 10.1016/j.pbi.2022.102189.
    [13]
    PRAJAPATI R, PARK S E, SEONG S H, et al. Monoamine oxidase inhibition by major tanshinones from salvia miltiorrhiza and selective muscarinic acetylcholine M4 receptor antagonism by tanshinone Ⅰ[J]. Biomolecules, 2021, 11(7): 1001-1015. doi: 10.3390/biom11071001
    [14]
    KE L, ZHONG C, CHEN Z, et al. Tanshinone Ⅰ: pharmacological activities, molecular mechanisms against diseases and future perspectives[J]. Phytomedicine, 2023, 110: 154632. DOI: 10.1016/j.phymed.2022.154632.
    [15]
    ZHAO J, LIU H, HONG Z, et al. Tanshinone Ⅰ specifically suppresses NLRP3 inflammasome activation by disrupting the association of NLRP3 and ASC[J]. Mol Med, 2023, 29(1): 84-95. doi: 10.1186/s10020-023-00671-0
    [16]
    XIE D, OUYANG S. The role and mechanisms of macrophage polarization and hepatocyte pyroptosis in acute liver failure[J]. Front Immunol, 2023, 14: 1279264. DOI: 10.3389/fimmu.2023.1279264.
    [17]
    肖燕婷, 黄淡霞, 黄凤蕊, 等. 丹参酮ⅡA对D-半乳糖胺诱导的大鼠急性肝衰竭保护作用机制研究[J]. 实用临床医药杂志, 2025, 29(7): 58-63, 70.

    XIAO Y T, HUANG D X, HUANG F R, et al. Protective mechanism of tanshinone on acute liver failure induced by D-galactosamine in rats[J]. Journal of Clinical Medicine in Practice, 2025, 29(7): 58-63, 70.
    [18]
    YANG T, WANG H, WANG X, et al. The dual role of innate immune response in acetaminophen-induced liver injury[J]. Biology, 2022, 11(3): 412. DOI: 10.3390/biology11071057.
    [19]
    NI L, CHEN D, ZHAO Y, et al. Unveiling the flames: macrophage pyroptosis and its crucial role in liver diseases[J]. Front Immunol, 2024, 15: 1338125. DOI: 10.3389/fimmu.2024.1338125.
    [20]
    XU W, CHE Y, ZHANG Q, et al. Apaf-1 pyroptosome senses mitochondrial permeability transition[J]. Cell Metab, 2021, 33(2): 424-436. doi: 10.1016/j.cmet.2020.11.018
    [21]
    HU C, HE X, ZHANG H, et al. Tanshinone Ⅰ limits inflammasome activation of macrophage via docking into Syk to alleviate DSS-induced colitis in mice[J]. Mol Immunol, 2024, 173: 88-98. doi: 10.1016/j.molimm.2024.07.007
    [22]
    WU S, ZHAO K, WANG J, et al. Recent advances of tanshinone in regulating autophagy for medicinal research[J]. Front Pharmacol, 2023, 14: 1180056. DOI: 10.3389/fphar.2022.1059360.
  • 加载中

Catalog

    通讯作者: 陈斌, bchen63@163.com
    • 1. 

      沈阳化工大学材料科学与工程学院 沈阳 110142

    1. 本站搜索
    2. 百度学术搜索
    3. 万方数据库搜索
    4. CNKI搜索

    Figures(5)  / Tables(9)

    Article Metrics

    Article views (31) PDF downloads(2) Cited by()
    Proportional views
    Related

    /

    DownLoad:  Full-Size Img  PowerPoint
    Return
    Return